Ураганът „Мелиса“ набира мощ: Ямайка нареди задължителни евакуации (ВИДЕО)

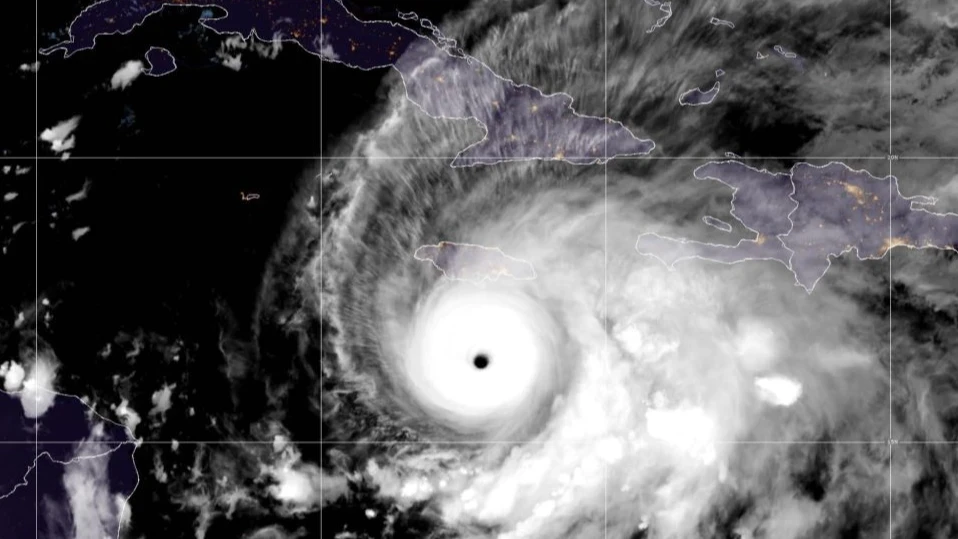
Ураганът "Мелиса" се засили до мощен ураган от категория 4, заплашвайки северните Кариби с опустошителни ветрове и проливни дъждове. Ямайските власти обявиха задължителни евакуации за уязвимите райони на страната, включително столицата Кингстън, съобщава The Guardian.

Очаква се бурята да продължи да се усилва и потенциално да достигне категория 5, с ветрове над 250 км/ч. По време на неделната пресконференция властите съобщиха, че международните летища в Кингстън са затворени, а 881 убежища са отворени за населението.

Министърът на местното управление Дезмънд Маккензи предупреди:

„Много от общностите няма да оцелеят при наводненията. Кингстън е изключително ниско разположен, няма място, което да е имунизирано срещу това.“

Някои жители на рибарското селище Порт Роял отказаха да напуснат домовете си, припомняйки си опита си от предишни евакуации преди повече от 20 години, когато условията в убежищата били тежки.

Според Националния център за урагани на САЩ центърът на "Мелиса" в неделя вечерта се намира на около 205 км юго-югозападно от Кингстън и се движи на запад със скорост 7 км/ч. Очаква се до вторник бурята да достигне Куба, където може да донесе до 300 мм дъжд, преди да се насочи към Бахамите.

Ураганът вече причини смъртта на най-малко четирима души в Хаити и Доминиканската република и е повредил стотици домове и инфраструктура. Властите предупредиха за наводнения, прекъснати електроснабдяване и комуникации, както и за изолирани общности в засегнатите райони.

Тропическата буря "Мелиса" е тринадесетата именувана буря от атлантическия ураганен сезон 2025, който се очаква да бъде по-интензивен от нормалното, с между 13 и 18 именувани бури.

Най-четени